Destacados
Últimas noticias
Ola de calor debe disiparse en el oeste de EEUU pero seguirán condiciones extremas
Una ola de calor que achicharra a la costa oeste de Estados Unidos comenzará a disiparse, anunció el servicio meteorológico este miércoles, aunque advirtió de peligrosas condiciones climáticas propicias para más incendios.
Dos muertos y miles bajo órdenes de evacuación por un incendio en California
Al menos dos personas fallecieron y miles recibieron órdenes para evacuar sus casas debido a un incendio que crece rápidamente en California, en medio de una intensa ola de calor.
China cierra su agosto más caluroso desde que hay registros
China vivió su agosto más caluroso desde que se iniciaron los registros en 1961, tras semanas de una ola de calor sin precedentes que probablemente se repita y ponga en peligro las cosechas.
Los fabricantes de ladrillos de Pakistán, sin sustento por culpa de las inundaciones
Extinguidos por semanas de lluvias torrenciales, los hornos para la fabricación de ladrillos han quedado abandonados en el pueblo paquistaní de Aqilpur, y con ellos son cientos los trabajadores que andan desesperados en busca de un medio de subsistencia.
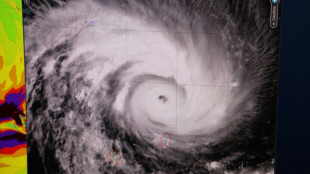
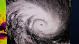
Tifón Hinnamnor deja un muerto y varios desaparecidos en Corea del Sur
El tifón Hinnamnor dejó el martes un muerto y nueve desaparecidos en Corea del Sur, antes de devolverse al mar después de provocar reportes de daños materiales.
Tifón Hinnamnor toca tierra en Corea del Sur y provoca cortes de luz en Japón
El tifón Hinnamnor tocó tierra el martes a primera hora en Corea del Sur, provocando la desaparición de una persona, y se dirige hacia Japón, donde hay más de 30.000 hogares sin luz, indicaron las autoridades.
"Retrocedimos 50 años", lamentan agricultores de Pakistán tras inundaciones
"Retrocedimos 50 años", lamenta el agricultor Ashraf Ali Bhanbro, cuyas cerca de 1.000 hectáreas de algodón y caña de azúcar -a punto de ser cosechadas- quedaron destruidas por las inundaciones provocadas por lluvias monzónicas sin precedentes en Pakistán.
Ola de calor en California provoca incendios forestales
Cientos de bomberos tuvieron que soportar altas temperaturas el jueves mientras luchaban contra un incendio forestal a lo largo de una autopista de California, como consecuencia de una terrible ola de calor que azota al oeste de Estados Unidos.
Por ola de calor, piden a los californianos no cargar sus vehículos eléctricos
Los californianos fueron llamados este miércoles a no cargar sus vehículos eléctricos debido a que su envejecida red eléctrica lucha para dar abasto en medio de una ola de calor, un pedido que se da apenas días después de que el estado anunció que frenará la venta de autos a gasolina.
Movilización general en Pakistán para ayudar a afectados por las inundaciones
Helicópteros evacuan a personas aisladas en las montañas del norte y barcos recorren las anegadas llanuras del sur: Pakistán continuaba movilizando el miércoles todos sus medios para ayudar a los millones de afectados por las peores inundaciones de su historia.
Peligrosa ola de calor azota al suroeste de EEUU
Una "peligrosa" ola de calor se apoderó del suroeste de Estados Unidos el martes y se esperan temperaturas extremas para la próxima semana.
Pakistán, que llora un millar de decesos, se prepara para nuevas inundaciones
El sur de Pakistán, golpeado por fuertes inundaciones, se preparaba este domingo a nuevas riadas debido a las crecidas de los cauces tras las lluvias monzónicas, que han dejado más de un millar de muertos en todo el país.
El sur de Pakistán se prepara para nuevas inundaciones, que han dejado un millar de muertos en el país
El sur de Pakistán, golpeado por fuertes inundaciones, se preparaba este domingo a nuevas riadas debido a las crecidas de los cauces tras las lluvias monzónicas, que han dejado más de un millar de muertos en todo el país.
Poderosas tormentas en EEUU, el "latigazo meteorológico" que evidencia el cambio climático
Una serie de poderosas tormentas extremadamente inusuales han azotado Estados Unidos en las últimas semanas inundando zonas afectadas por sequías prolongadas, en una muestra de que, a medida que ocurre, el cambio climático genera "latigazos meteorológicos".
Pakistán, bajo el diluvio, decreta el estado de emergencia
El estado de emergencia fue declarado este viernes en Pakistán, país sometido a un diluvio monzónico de excepcional intensidad que ha provocado desde junio 900 muertos y afectado a más de 30 millones de personas.
Más de 180 muertos en un mes en inundaciones en Afganistán
Las inundaciones que sacuden desde hace un mes a Afganistán han dejado 182 muertos y 250 heridos, informó este jueves el portavoz del régimen talibán.
Pobladores chinos se refugian del calor en estaciones subterráneas
En estaciones subterráneas caóticas y congestionadas, habitantes de la megaciudad china de Chongqing se refugian del verano más caluroso que se tiene en registro, donde el aire acondicionado les permite evadir las temperaturas abrasadoras del exterior.
La mitad de China sufre sequía en medio de la peor ola de calor registrada
La mitad del territorio de China está sufriendo una sequía, incluidas partes de la gélida meseta del Tíbet, indican los datos oficiales en medio de una ola de calor sin precedentes en el país que debe continuar este jueves.
China advierte de "grave" amenaza a la cosecha por ola de calor récord
La cosecha de otoño en China se encuentra bajo "grave amenaza" por las altas temperaturas y la sequía, advirtieron las autoridades, urgiendo a tomar acciones para proteger los cultivos ante la peor ola de calor registrada en el país.
Portugal, bajo estado de alerta, sigue luchando contra varios incendios
Portugal, que atraviesa una tercera ola de calor desde principios de julio, seguía combatiendo este lunes varios incendios, mientras el país está en estado de alerta hasta el martes por el riesgo de fuegos.
Shanghái reduce la iluminación en su famosa avenida para ahorrar energía por la ola de calor
Shanghái apagará temporalmente el lunes y el martes las luces decorativas de los alrededores de su famosa avenida Bund, informó la municipalidad, en momentos en que la canícula en China obliga a las autoridades a racionar la electricidad.
Una ciudad china reduce la iluminación para ahorrar energía
Apagando carteles publicitarios y suavizando la iluminación del metro, una gran ciudad de China trata de ahorrar electricidad y hacer frente a la escasez de energía que padece parte del país a causa de unas temperaturas extremas.
Un gran incendio en el este de España se reaviva y amenaza un parque natural
Un gran incendio forestal en el este de España que ya destruyó grandes extensiones de tierra se reavivó pese a las lluvias y aceleró su avance durante la noche, informaron este viernes las autoridades.
En EEUU hacen mapas de islas de calor para impulsar la resiliencia climática
La pantalla del teléfono muestra 32°C en Silver Spring, en las afueras de Washington, un domingo de mediados de agosto. Pero en términos de exposición al calor, no todas las partes de la ciudad son iguales.
Fábricas chinas racionan energía por aumento de demanda durante ola de calor
La provincia china de Sichuan, centro de producción de litio, racionará el suministro de electricidad a sus fábricas ante una ola de calor que disparó la demanda y está secando los embalses, indicaron medios estatales.
En 30 años, un "cinturón de calor extremo" cubrirá el centro de EEUU
Estados Unidos desarrollará en 30 años un "cinturón de calor extremo", que irá desde el estado de Luisiana, en el sur del país, hasta el lago Michigan en el norte, atravesando la región del Medio Oeste del país, según un nuevo informe publicado el lunes.
Francia recibe ayuda europea para enfrentar los incendios que arrasan miles de hectáreas
Seis países europeos enviarán ayuda a Francia, cuyos bomberos luchan contra nuevos incendios forestales reavivados por otra ola de calor y una sequía preocupante para el sector agrícola.
Sube a once el número de muertos por las inundaciones en Corea del Sur
Al menos once personas murieron y ocho se encuentran desaparecidas en Corea del Sur tras las fuertes lluvias que inundaron carreteras, estaciones de metro y casas, según un nuevo balance brindado por las autoridades este jueves.
Nueva ola de calor en Francia y España, con sequía en toda Europa
Francia y España enfrentaron el miércoles su tercera ola de calor desde junio, con una sequía que se acentúa en toda Europa y que obligó a los Países Bajos a declararse oficialmente en situación de "escasez de agua".
Mayor incendio forestal en California deja al menos cuatro muertos
El mayor incendio forestal de este año en California duplica su saldo letal a cuatro muertos, al tiempo que autoridades afirmaron este martes que las condiciones climáticas dan una tregua a los más de mil bomberos combatiendo las llamas.
La sequía se instala en Francia en plena ola de calor
La alerta por sequía se extendió este martes a todos los territorios de Francia en Europa, cuando la tercera ola de calor en dos meses vuelve más visible las consecuencias del calentamiento del planeta.
El número de muertos por las inundaciones en Kentucky se eleva a 37
La cifra de muertos por las inundaciones en el este de Kentucky ascendió este lunes a 37 mientras nuevas lluvias complican las operaciones de limpieza, búsqueda y rescate, y el posible clima severo durante la noche amenaza con provocar más daños.